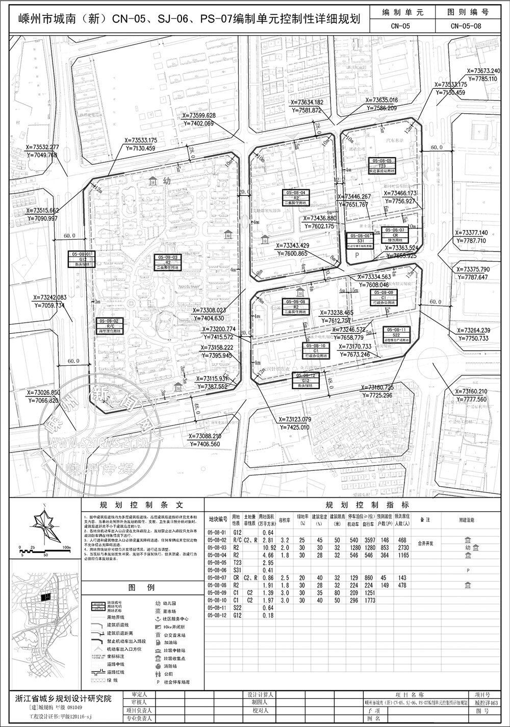
嵊州市城南新区管委会委托绍兴市城市规划设计研究院对2010年编制的嵊州市城南(新)CN-05编制单元控制性详细规划CN-05-08图则进行了调整,现已完成初步方案。
根据城乡规划法相关规定,为进一步拓宽社会公众了解参与城乡规划的渠道,现将CN-05-08图则调整向社会公示。我们热忱希望所有关注嵊州城乡规划建设的广大群众和社会各界人士对本规划提出宝贵意见和建议,为规划决策提供参考和依据。
公示时间:2016年2月4日至3月4日(共30天)。
公示方式:建设项目现场、嵊州日报、嵊州市建设局网站(http://jiansj.szzj.gov.cn/)。
意见反馈:公示期间若有意见或建议请以书面方式邮寄至城南新区管委会,书面意见请注明联系人姓名、电话、联系地址。
来信请寄:嵊州市仙湖路830号,邮编:312400
联系电话:0575-83351663
嵊州市住房和城乡建设局
2016年2月5日

调整前
|